Jump to page
Page 1 2 3 4 5 ... 36
Started By
Message
locked post

Category 5 Hurricane Melissa - 185 mph, 892mb, Top 3 in Recorded History

Posted on 10/13/25 at 6:08 pm
Posted by rds dc
Member since Jun 2008
21519 posts
Posted on 10/13/25 at 6:08 pm







This post was edited on 10/28/25 at 7:53 pm
Top Replies
Posted by LanierSpots
Sarasota, Florida
Member since Sep 2010
71078 posts
Posted on 10/28/25 at 10:12 am to
That Treasure beach cam is in the thick of it


LINK
Posted by NorthEndZone
Member since Dec 2008
14285 posts
Posted on 10/28/25 at 10:30 am to
Image updates automatically when you refresh page

This post was edited on 10/28/25 at 10:31 am
All Replies (717)
Posted by KosmoCramer
Member since Dec 2007
80524 posts
Posted on 10/13/25 at 6:09 pm to
Lorenzo is gonna hit Africa so there's that.
Posted by rds dc
Member since Jun 2008
21519 posts
Posted on 10/13/25 at 6:10 pm to
TS Lorenzo is another OTS system. Then, we might have to watch one of the last MDR waves of the season, since it looks like it could get into the Caribbean or even the WCAB.
Posted by Beessnax
Member since Nov 2015
11122 posts
Posted on 10/13/25 at 6:12 pm to
I'm just thankful that it has been a boring arse year when it comes to hurricanes in the Gulf.
Posted by rt3
now in the piney woods of Pineville
Member since Apr 2011
147090 posts
Posted on 10/13/25 at 6:12 pm to
I saw something about a super typhoon near Japan which will eventually help push colder weather to the southern US

RDS... care to help explain?
Posted by Bestbank Tiger
Premium Member
Member since Jan 2005
80845 posts
Posted on 10/13/25 at 6:14 pm to
Wait, what happened to Karen? I was looking forward to the jokes.
Posted by Tarps99
Lafourche Parish
Member since Apr 2017
12668 posts
Posted on 10/13/25 at 6:51 pm to
quote:

The Final Countdown


Posted by whiskey over ice
Member since Sep 2020
3758 posts
Posted on 10/13/25 at 6:54 pm to
Lorenzos on Yokahama tires...
Posted by Major Dutch Schaefer
Location: Classified
Member since Nov 2011
39028 posts
Posted on 10/13/25 at 7:33 pm to
quote:

I'm just thankful that it has been a boring arse year when it comes to hurricanes in the Gulf.


I'm sure we will all be getting rebates from our homeowners insurance.
Posted by dyslexic
Left field
Member since Nov 2010
6618 posts
Posted on 10/13/25 at 7:42 pm to
18” Lorenzo’s, Yokohama tires when I ride by all them bitches, get they pussy all on fire.
Bitches say I highside, hoe, it ain't no thang,
Y'all just blinded by the diamonds, the Pimp, the pinky rang
Posted by rds dc
Member since Jun 2008
21519 posts
Posted on 10/19/25 at 10:17 am to
Tropical Weather Outlook
NWS National Hurricane Center Miami FL
800 AM EDT Sun Oct 19 2025

For the North Atlantic...Caribbean Sea and the Gulf of America:

1. Near the Windward Islands and the Caribbean Sea (AL98):
A tropical wave currently located near the Windward Islands is
producing a large area of showers and thunderstorms. Heavy rainfall
and gusty winds are expected today continuing through Monday morning
across portions of the Windward and Leeward Islands as the system
moves quickly westward at 20 to 25 mph into the eastern Caribbean
Sea. Additional development is forecast to be limited over the next
day or two, due to the fast forward motion of the wave. The system
is then expected to slow down over the central Caribbean Sea during
the middle portion of the week, where environmental conditions could
become more conducive for development. A tropical depression could
from over the central Caribbean Sea by the middle to latter portion
of this week.
* Formation chance through 48 hours...low...10 percent.
* Formation chance through 7 days...medium...60 percent.
Posted by Drank
Member since Jun 1864
Member since Dec 2012
12344 posts
Posted on 10/19/25 at 10:25 am to
quote:

18” Lorenzo’s, Yokohama tires when I ride by all them bitches, get they pussy all on fire.
Bitches say I highside, hoe, it ain't no thang,
Y'all just blinded by the diamonds, the Pimp, the pinky rang


I wanted this to be an rds dc post so badly when I scrolled over to see who posted it
This post was edited on 10/19/25 at 10:26 am
Posted by BOSCEAUX
Where the Down Boys go.
Member since Mar 2008
52401 posts
Posted on 10/19/25 at 10:45 am to
Used to be able to play that on keyboard thought it was cool but it’s insanely easy.
Posted by Chad504boy
4 posts
Member since Feb 2005
178942 posts
Posted on 10/19/25 at 10:46 am to
tHE Gulf is Closed
Posted by Bestbank Tiger
Premium Member
Member since Jan 2005
80845 posts
Posted on 10/19/25 at 11:33 am to
I remember Humberto and now we're in the middle of the alphabet.

Guess we had another run of fish storms and name wasters.
Posted by UptownJoeBrown
Baton Rouge
Member since Jul 2024
9930 posts
Posted on 10/19/25 at 12:13 pm to
See you assholes saying it’s a done season? Assholes.
Posted by Jim Rockford
Member since May 2011
105287 posts
Posted on 10/19/25 at 12:22 pm to
Posted by Disco Ball
Denham Springs
Member since May 2025
1415 posts
Posted on 10/19/25 at 12:39 pm to
quote:

I'm just thankful that it has been a boring arse year when it comes to hurricanes in the Gulf.


I'm not surprised and I know this trend will continue.
Trump said this would happen if we renamed it.
Posted by Mr Roboto
Seattle
Member since Jan 2023
8153 posts
Posted on 10/21/25 at 10:30 am to


Melissa has formed. Hurricane watch is up for portions of Haiti, tropical storm watch for Jamaica
Posted by rds dc
Member since Jun 2008
21519 posts
Posted on 10/21/25 at 8:08 pm to
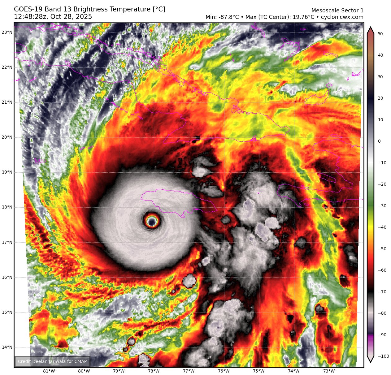
Melissa has the potential to be one of the all-time most devastating storms in the WCAB. Still can't totally rule out a track across Cuba that clips SE Florida, but it's a low end solution at this point.
Jump to page
Page 1 2 3 4 5 ... 36
Jump to page
first pageprev pagePage 1 of 36Next pagelast page

Back to top
logoFollow TigerDroppings for LSU Football News
Follow us on X, Facebook and Instagram to get the latest updates on LSU Football and Recruiting.

FacebookXInstagram