- My Forums
- Tiger Rant
- LSU Recruiting
- SEC Rant
- Saints Talk
- Pelicans Talk
- More Sports Board
- Fantasy Sports
- Golf Board
- Soccer Board
- O-T Lounge
- Tech Board
- Home/Garden Board
- Outdoor Board
- Health/Fitness Board
- Movie/TV Board
- Book Board
- Music Board
- Political Talk
- Money Talk
- Fark Board
- Gaming Board
- Travel Board
- Food/Drink Board
- Ticket Exchange
- TD Help Board
Customize My Forums- View All Forums
- Show Left Links
- Topic Sort Options
- Trending Topics
- Recent Topics
- Active Topics
Started By
Message
re: Friday weather thread. Tornado watches everywhere, warnings, too
Posted on 3/31/23 at 8:48 pm to Roll Tide Ravens
Posted on 3/31/23 at 8:48 pm to Roll Tide Ravens
Geez. Crazy. I was going to update the thread title with the current number of tornadoes, but it'd e unfortunately fruitless because of the continuum of tornado warnings issued.
Posted on 3/31/23 at 8:51 pm to East Coast Band
TWC is interviewing a guy who lost his girlfriend. Exploitation TV is exploitive.
Posted on 3/31/23 at 8:51 pm to Roll Tide Ravens
quote:
Got a BWER (bounded weak echo region) on that one.
I saw it but I've hit my limit on that one for today
Posted on 3/31/23 at 8:51 pm to JCinBAMA
quote:
No way Alabama doesn't get in on all this action.
Shut your mouth
From someone who's been hit multiple times here in Alabama, I just know it all too well.
I hate it with a passion.
Posted on 3/31/23 at 8:53 pm to Wishnitwas1998
quote:
I saw it but I've hit my limit on that one for today
We could turn your BWER usage into a drinking game!
Posted on 3/31/23 at 8:54 pm to JCinBAMA
quote:
No way Alabama doesn't get in on all this action.
Lauderdale and Colbert counties finna eat.
Posted on 3/31/23 at 8:54 pm to Wishnitwas1998
quote:
didn't see that coming really thought the atmosphere was zapped
Still plenty of shear and 60s dewpoints in MS
Posted on 3/31/23 at 8:55 pm to Roll Tide Ravens
quote:
We could turn your BWER usage into a drinking game!
We need tornado outbreak bingo
Posted on 3/31/23 at 8:55 pm to deltaland
Haven't used that one at all today! I've done so good!!
AND I haven't bitched about NWS Memphis one single time! A miracle!!
AND I haven't bitched about NWS Memphis one single time! A miracle!!
This post was edited on 3/31/23 at 8:56 pm
Posted on 3/31/23 at 8:56 pm to East Coast Band
quote:
From someone who's been hit multiple times here in Alabama, I just know it all too well.
I hate it with a passion.
Same here, The one in 1974 scared the shite of me when i was a kid, hit about a mile from my house.
Posted on 3/31/23 at 8:56 pm to East Coast Band
tBoat will love SPCs latest MD. It is top notch.
Posted on 3/31/23 at 8:58 pm to LegendInMyMind
I have a quote from it:
"IT GONE RAIN"
"IT GONE RAIN"
Posted on 3/31/23 at 9:01 pm to LegendInMyMind
quote:
tBoat will love SPCs latest MD. It is top notch.
MDs like this are essentially SPC issuing their own tornado warnings.

Posted on 3/31/23 at 9:03 pm to Wishnitwas1998
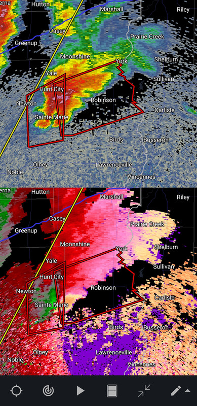
Nasty front running storm here with a confirmed tornado.


Posted on 3/31/23 at 9:04 pm to Roll Tide Ravens
TWC is interviewing a guy in Wynne, AR who survived the tornado in the car and his girlfriend was killed in a mobile home.
Posted on 3/31/23 at 9:04 pm to Roll Tide Ravens
New cells firing now in SE Arkansas
Posted on 3/31/23 at 9:05 pm to Roll Tide Ravens
Just north of Saulsbury, TN looks to be wrapping up again.
Posted on 3/31/23 at 9:05 pm to LegendInMyMind
Our TN storm has put another one down.
Posted on 3/31/23 at 9:06 pm to Roll Tide Ravens
quote:
TWC is interviewing a guy in Wynne, AR who survived the tornado in the car and his girlfriend was killed in a mobile home.
No shame.
Posted on 3/31/23 at 9:07 pm to LegendInMyMind
quote:
No shame.
Yeah, it’s their agitating “national correspondent” doing it. He’s not a meteorologist.
Popular
Back to top


1




