- My Forums
- Tiger Rant
- LSU Recruiting
- SEC Rant
- Saints Talk
- Pelicans Talk
- More Sports Board
- Fantasy Sports
- Golf Board
- Soccer Board
- O-T Lounge
- Tech Board
- Home/Garden Board
- Outdoor Board
- Health/Fitness Board
- Movie/TV Board
- Book Board
- Music Board
- Political Talk
- Money Talk
- Fark Board
- Gaming Board
- Travel Board
- Food/Drink Board
- Ticket Exchange
- TD Help Board
Customize My Forums- View All Forums
- Show Left Links
- Topic Sort Options
- Trending Topics
- Recent Topics
- Active Topics
Started By
Message
re: Severe Weather: May 19-20, 2025
Posted on 5/20/25 at 7:19 pm to NorthEndZone
Posted on 5/20/25 at 7:19 pm to NorthEndZone
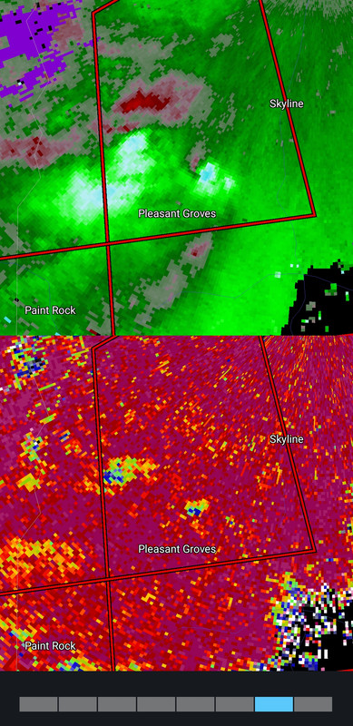
Now heading toward more populated areas along 231 South (to the east of Redstone Arsenal). But it is only radar indicated rotation at this point.
Posted on 5/20/25 at 7:19 pm to auggie
There was some neighborhood northwest of Madison and south of harvest that had been hit three times with major tornadoes since it was built.
Posted on 5/20/25 at 7:20 pm to Roll Tide Ravens
Is the thought that this severe stuff going to keep moving south until it reaches Bham area or is that environment so unfavorable that things should be sub severe?
Posted on 5/20/25 at 7:22 pm to NorthEndZone
Looks like if that Triana storm puts one down there are a lot of dense neighborhoods in that stretch
Posted on 5/20/25 at 7:22 pm to Roll Tide Ravens
Good news is that the stuff back to the west in Mississippi and NW Alabama isn’t tornadic at this point.
Posted on 5/20/25 at 7:22 pm to tide06
quote:
There was some neighborhood northwest of Madison and south of harvest that had been hit three times with major tornadoes since it was built.
Probably Capshaw. Pepper Road area.
Posted on 5/20/25 at 7:25 pm to Roll Tide Ravens
Two tornadoes down with the lead storm now.
Posted on 5/20/25 at 7:25 pm to auggie
quote:
Probably Capshaw. Pepper Road area.
There are several areas from Tanner to East Limestone/Capshaw that have faced that fate.
Posted on 5/20/25 at 7:27 pm to auggie
Two separate debris signatures on the storm east of Huntsville.


This post was edited on 5/20/25 at 7:28 pm
Posted on 5/20/25 at 7:33 pm to Roll Tide Ravens
Looks like the lead storm is finally weakening.
Posted on 5/20/25 at 7:35 pm to Roll Tide Ravens
quote:
Looks like the lead storm is finally weakening.
I wouldn't trust it heading into Sand Mountain looking for some magic.
Posted on 5/20/25 at 7:37 pm to Wishnitwas1998
quote:Hoover Met tailgaters are wondering the same thing. I really don’t wanna take down all of our tents just to put them back up in the morning.
Is the thought that this severe stuff going to keep moving south until it reaches Bham area or is that environment so unfavorable that things should be sub severe?
Posted on 5/20/25 at 7:37 pm to Roll Tide Ravens
quote:
Two separate debris signatures on the storm east of Huntsville.
Luckily, not many people live in that area.
Posted on 5/20/25 at 7:38 pm to auggie
quote:Anderson Hills in Harvest has been hit by major tornadoes multiple times.
Almost exactly what it always does there. Same neighborhoods get wiped out and rebuilt all over again.
Posted on 5/20/25 at 7:38 pm to Flanders
I think there will be storms in central AL, including Birmingham, later tonight. Whether or not they meet severe criteria will be the question.
Posted on 5/20/25 at 7:39 pm to auggie
quote:
Luckily, not many people live in that area.
Yeah, it waited to produce another until it was east of most of the bigger neighborhoods.
Posted on 5/20/25 at 7:40 pm to highcotton2
quote:
Anderson Hills in Harvest has been hit by major tornadoes multiple times.
Yep. You couldn't pay me to live there.
Posted on 5/20/25 at 7:42 pm to highcotton2
quote:
Anderson Hills in Harvest has been hit by major tornadoes multiple times.
I have to wonder what exactly makes them all follow the same path?
Posted on 5/20/25 at 7:44 pm to auggie
quote:
I have to wonder what exactly makes them all follow the same path?
There's some research out there about it. UAH was involved in some of it. I'd have to try to find it, but I believe the theory is topography and the river has a lot of influence.
This post was edited on 5/20/25 at 7:45 pm
Popular
Back to top


1






