- My Forums
- Tiger Rant
- LSU Recruiting
- SEC Rant
- Saints Talk
- Pelicans Talk
- More Sports Board
- Fantasy Sports
- Golf Board
- Soccer Board
- O-T Lounge
- Tech Board
- Home/Garden Board
- Outdoor Board
- Health/Fitness Board
- Movie/TV Board
- Book Board
- Music Board
- Political Talk
- Money Talk
- Fark Board
- Gaming Board
- Travel Board
- Food/Drink Board
- Ticket Exchange
- TD Help Board
Customize My Forums- View All Forums
- Show Left Links
- Topic Sort Options
- Trending Topics
- Recent Topics
- Active Topics
Started By
Message
re: Friday weather thread. Tornado watches everywhere, warnings, too
Posted on 3/31/23 at 4:52 pm to LegendInMyMind
Posted on 3/31/23 at 4:52 pm to LegendInMyMind

Posted on 3/31/23 at 4:56 pm to Bobby OG Johnson
Cell warned near Beebe, Ar
Posted on 3/31/23 at 4:56 pm to deltaland

This post was edited on 3/31/23 at 4:57 pm
Posted on 3/31/23 at 4:57 pm to Bobby OG Johnson
quote:
Jason Myers
@JasonMWX
·
5m
Major damage Wynne. #arwx
Posted on 3/31/23 at 4:58 pm to Bobby OG Johnson
BULLETIN - EAS ACTIVATION REQUESTED
Tornado Warning
National Weather Service Memphis TN
456 PM CDT Fri Mar 31 2023
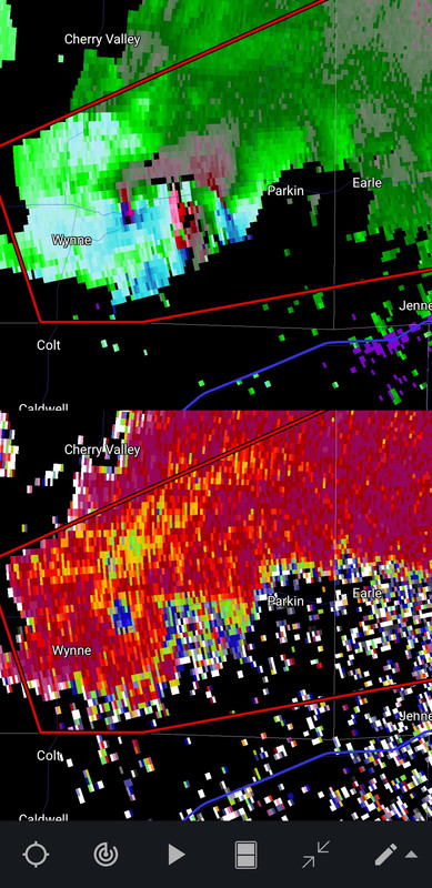
...TORNADO EMERGENCY FOR Parkin and Earle, AR...
The National Weather Service in Memphis has issued a
* Tornado Warning for...
Northern Crittenden County in eastern Arkansas...
Southeastern Cross County in eastern Arkansas...
* Until 530 PM CDT.
* At 455 PM CDT, a confirmed large and destructive tornado was
observed near Parkin, moving east at 50 mph.
TORNADO EMERGENCY for Parkin and Earle, Arkansas. This is a
PARTICULARLY DANGEROUS SITUATION. TAKE COVER NOW!
HAZARD...Deadly tornado.
SOURCE...Radar confirmed tornado.
Tornado Warning
National Weather Service Memphis TN
456 PM CDT Fri Mar 31 2023
...TORNADO EMERGENCY FOR Parkin and Earle, AR...
The National Weather Service in Memphis has issued a
* Tornado Warning for...
Northern Crittenden County in eastern Arkansas...
Southeastern Cross County in eastern Arkansas...
* Until 530 PM CDT.
* At 455 PM CDT, a confirmed large and destructive tornado was
observed near Parkin, moving east at 50 mph.
TORNADO EMERGENCY for Parkin and Earle, Arkansas. This is a
PARTICULARLY DANGEROUS SITUATION. TAKE COVER NOW!
HAZARD...Deadly tornado.
SOURCE...Radar confirmed tornado.
Posted on 3/31/23 at 4:59 pm to Bobby OG Johnson
quote:
Harrison Cater
@HRRRisonCater
·
12m
Sweet mother of god that storm. Two of the most impressive tornadoes I’ve seen. Had twins for a good while. Vid later. #iawx
Posted on 3/31/23 at 5:02 pm to LegendInMyMind
Basically right on top of Parkin now.
Posted on 3/31/23 at 5:05 pm to Roll Tide Ravens
Gonna be a really close call for Earle.
Posted on 3/31/23 at 5:07 pm to NorthEndZone
God I hope that thing goes north of Earle
Posted on 3/31/23 at 5:08 pm to Roll Tide Ravens
Youtube Live chaser near Iowa City
Nothing on camera yet - He's trying to circle around to the front side presently.
ETA:
He's 2 miles south of it but heading towards it.
Nothing on camera yet - He's trying to circle around to the front side presently.
ETA:
He's 2 miles south of it but heading towards it.
This post was edited on 3/31/23 at 5:11 pm
Posted on 3/31/23 at 5:08 pm to Roll Tide Ravens
Looks like two separate tornadoes barely missed Iowa City. One to the northwest, one to southeast.
This post was edited on 3/31/23 at 5:09 pm
Posted on 3/31/23 at 5:09 pm to Roll Tide Ravens
They've apparently closed a large section north and south of I-55 north of Memphis
Popular
Back to top


0









