- My Forums
- Tiger Rant
- LSU Recruiting
- SEC Rant
- Saints Talk
- Pelicans Talk
- More Sports Board
- Coaching Changes
- Fantasy Sports
- Golf Board
- Soccer Board
- O-T Lounge
- Tech Board
- Home/Garden Board
- Outdoor Board
- Health/Fitness Board
- Movie/TV Board
- Book Board
- Music Board
- Political Talk
- Money Talk
- Fark Board
- Gaming Board
- Travel Board
- Food/Drink Board
- Ticket Exchange
- TD Help Board
Customize My Forums- View All Forums
- Show Left Links
- Topic Sort Options
- Trending Topics
- Recent Topics
- Active Topics
Started By
Message
re: I-10 Severe Weather threat - Monday May 13, 2024...
Posted on 5/13/24 at 5:00 pm to Bobby OG Johnson
Posted on 5/13/24 at 5:00 pm to Bobby OG Johnson
LC looks to be getting dumped on right now. That rotation is wrapping all the precip around to North of it.
Posted on 5/13/24 at 5:01 pm to NorthEndZone
Looks like it’s weakened a bit. Winds south of Iowa area looking around 65 mph
Posted on 5/13/24 at 5:02 pm to LegendInMyMind
Bottom blob just passed over my house
Posted on 5/13/24 at 5:02 pm to LegendInMyMind
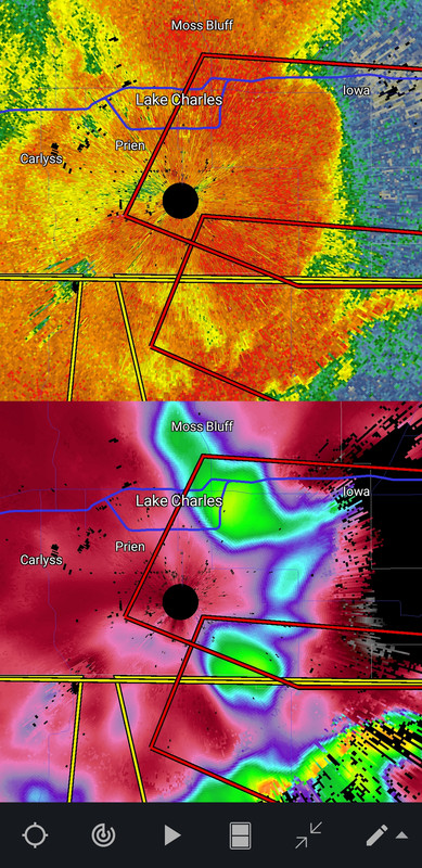
Which setting is that?
Posted on 5/13/24 at 5:03 pm to LegendInMyMind
Wade Hampton local meteorologist saying they are getting video of some damage between Sulphur and Moss Bluff, maybe from where that radar indicated tornado could have been.
Posted on 5/13/24 at 5:05 pm to LSURoss
quote:
Which setting is that?
Specific Differential Phase. It shows where the heaviest precip is located.
Posted on 5/13/24 at 5:06 pm to Bobby OG Johnson
Posted on 5/13/24 at 5:06 pm to LegendInMyMind
Could have one spin up over Iowa right now.
Posted on 5/13/24 at 5:09 pm to LegendInMyMind
Hwy 90 in Iowa - 75 mph showing on radar
Posted on 5/13/24 at 5:09 pm to LegendInMyMind
Between Iowa and Lacassine right now looks like
Posted on 5/13/24 at 5:11 pm to NorthEndZone
86 mph on radar just east of Iowa along US 90
Posted on 5/13/24 at 5:12 pm to NorthEndZone
Dam that storm is getting bad. And getting close to me
Posted on 5/13/24 at 5:12 pm to NorthEndZone
Posted on 5/13/24 at 5:12 pm to LegendInMyMind
RIJ really starting to rip now.


Posted on 5/13/24 at 5:14 pm to LegendInMyMind
It sure looked like to me Westlake had a tornado
Posted on 5/13/24 at 5:14 pm to LegendInMyMind
That high wind spot is right along 90 where the population and businesses are located.
Popular
Back to top


1






