Started By
Message
locked post

Severe Weather - March 25-26

Posted on 3/24/24 at 3:29 pm
Posted by Zapps4Life
Houston
Member since May 2016
449 posts
Posted on 3/24/24 at 3:29 pm
Didn't see a thread so here's one...



















Posted by OK Roughneck
The Sooner State
Member since Aug 2021
18339 posts
Posted on 3/24/24 at 3:31 pm to
Posted by Zapps4Life
Houston
Member since May 2016
449 posts
Posted on 3/24/24 at 3:36 pm to
Looks like for large portions of LA into MS discrete supercells followed by squall line/line echo wave pattern.



Posted by LegendInMyMind
Member since Apr 2019
74833 posts
Posted on 3/24/24 at 4:35 pm to
Moisture is the spanner in the works today. Dews still in the low 50s across the warm sector right now. LA gets better moisture return tomorrow. I think we could see some issues if anything is discrete.
This post was edited on 3/24/24 at 4:36 pm
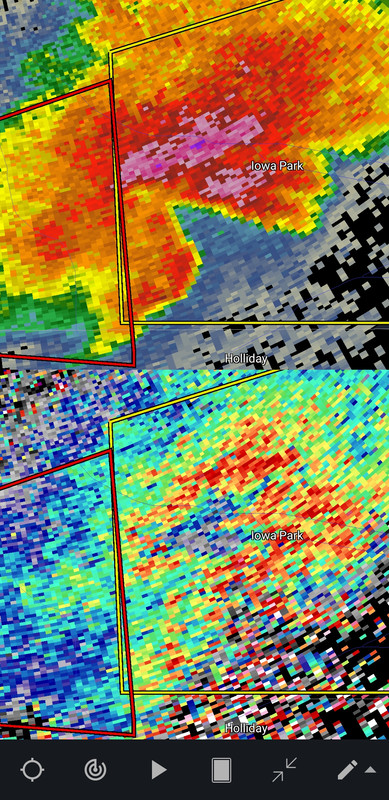
Posted by wfallstiger
Wichita Falls, Texas
Member since Jun 2006
15598 posts
Posted on 3/24/24 at 5:32 pm to
Broken line of storms is about 30 - 45 minutes West of us, now. Was rather windy earlier
Posted by 3deadtrolls
lafayette
Member since Jan 2014
6886 posts
Posted on 3/24/24 at 5:36 pm to
Rob Perillo fixing to go all hellfire and brimstone.
Posted by Jim Rockford
Member since May 2011
105107 posts
Posted on 3/24/24 at 5:40 pm to
Tim McGraw country in the crosshairs
Posted by wfallstiger
Wichita Falls, Texas
Member since Jun 2006
15598 posts
Posted on 3/24/24 at 5:52 pm to
Storm to the West has been tornado warned - funnels only thus far - about an hour from us
Posted by LegendInMyMind
Member since Apr 2019
74833 posts
Posted on 3/24/24 at 6:11 pm to
Yeah, it hasn't wrapped up very well on radar. It probably has some decent hail with it. Looks outflow dominant now, y'all may see some stout wind from it.
This post was edited on 3/24/24 at 6:14 pm
Posted by LegendInMyMind
Member since Apr 2019
74833 posts
Posted on 3/24/24 at 6:15 pm to
Yep, it has some hail in it.
Posted by SleepyJeaux
Member since Mar 2024
45 posts
Posted on 3/24/24 at 6:17 pm to
Meh...It's ALWAYS 99.9% hype and 0.1% actual. Next.
Posted by wfallstiger
Wichita Falls, Texas
Member since Jun 2006
15598 posts
Posted on 3/24/24 at 6:29 pm to
Main punch appears just North of us. Our home is Southwest Wichita Falls
Posted by Mr Roboto
Seattle
Member since Jan 2023
8153 posts
Posted on 3/24/24 at 6:44 pm to
quote:

Meh...It's ALWAYS 99.9% hype and 0.1% actual. Next.

You may be right, but it would be irresponsible to not warn people of the possibility.
Posted by LegendInMyMind
Member since Apr 2019
74833 posts
Posted on 3/24/24 at 7:14 pm to
quote:

Meh...It's ALWAYS 99.9% hype and 0.1% actual. Next.

Yeah......except for all of those times it isn't.
Posted by deltaland
Member since Mar 2011
102320 posts
Posted on 3/24/24 at 7:49 pm to
My body is ready
Posted by LegendInMyMind
Member since Apr 2019
74833 posts
Posted on 3/24/24 at 8:26 pm to
The evolution of a rear inflow jet as it moves through Wichita Falls. It isn't quite there yet, but it is working on it.

Posted by Turnblad85
Member since Sep 2022
5430 posts
Posted on 3/24/24 at 9:17 pm to
Tornado watch, Tornado warning.






One of the dumbest decisions was to name these so similarly.

How about Tornado Alert or Tornado Caution or Tornado Beware?
Posted by highup7
Alex City, Al.
Member since Jan 2005
1860 posts
Posted on 3/24/24 at 9:32 pm to
Does New Orleans or Baton Rouge have tornado sirens? When I lived in Montgomery they had the sirens.
Posted by LegendInMyMind
Member since Apr 2019
74833 posts
Posted on 3/25/24 at 12:58 am to
quote:

One of the dumbest decisions was to name these so similarly.

I've come to the conclusion that you can't help stupid people. Many of the people who can't wrap their minds around this simple concept also cannot pick out their county on a map. At some point you just have to call it a wash and wish them luck.
Posted by North Dallas Tiger
United States of America
Member since Mar 2024
13008 posts
Posted on 3/25/24 at 1:17 am to
quote:

How about Tornado Alert or Tornado Caution or Tornado Beware?
first pageprev pagePage 1 of 4Next pagelast page

Back to top
logoFollow TigerDroppings for LSU Football News
Follow us on X, Facebook and Instagram to get the latest updates on LSU Football and Recruiting.

FacebookXInstagram